夏なのに北西の風の石垣島!そして、好調だったマンタもマンタ不発!
ダイビングブログ2024年8月8日
天気:晴れ 風:北西 波:1.0m 気温:33.8度(28.9度)
1ダイブ 屋良部崎アンカーポイント
透明度:18m 水温:29.4度
2ダイブ 石崎マンタポイント
透明度:17m 水温:30.6度
3ダイブ 大﨑オオハマサンゴ
透明度:17m 水温:28.0度
石垣島は晴れの天気です。
夏にしては珍しく北西の風が吹いてますが、それほど強くはないので海は穏やかでした。
今日はリピーターさんと3ダイブしてきました。

屋良部崎の竜宮城ぽいサンゴ?

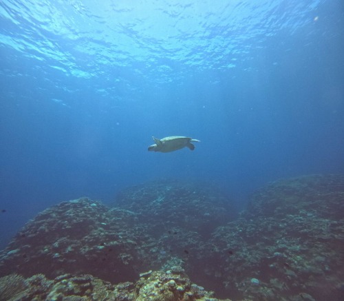
マンタは不発!
代わりにメンタル強めのウミガメがホバリングしてました。笑

和名; カミソリウオ
英名; Seagrass ghost pipefish
学名; Solenostomus cyanopterus

和名; ハダカハオコゼ
英名; Leaf scorpionfish
学名; Taenianotus triacanthus
ダイビング料金改定のお知らせ
お得なキャンペーン情報
新型コロナウィルス感染症の拡大防止対策のお願い
石垣島てぃだダイビングサー ビスでは、お客さまに安心してご利 用して頂けますよう、またお客さまとスタッフの安全を確保するために新型コロナウイルス感染症の拡大 防止対策を実施した上で営業を再開させていただきます。
初めてのこと・慣れない状況下でのダイビング業務再開となります。コロナ前とは違った不自由なことがあったり、お客さまに余計な気を使わせたりご不便をおかけすることもあると思いますが、安全で楽しいダイビングを提供しつつ新型コロナウイルス感染症の拡大防止にも努めて参ります。みなさまのご理解とご協力をお願い致します。
具体的な感染予防対策についてのより詳しい内容につきましては新型コロナウィルス感染拡大 防止対策ガイドラインをご参照ください。また、今後の状況によってはガイドラインや感染予防対策の内容が変更されることもありますのでご了承願います。
なお、新型コロナウイルス感染症の収束までの間はウイルスの感染や予防等によるキャンセル料金はいただきません。体調不良等の場合は速やかにお申し出くださいますようお願いいたします。
![]()
■お客様にお願いする感染予防対策
出発前やダイビング参加前の感染予防対策
・ご旅行の出発前やダイビング当日に体温37.5℃以上の発熱や咳・体調不良等の症状がありましたら、ご旅行やダイビングへの参加を中止してください 。
・既に来島されているお客様で発熱・咳・体調不良等の症状がある場合はダイビングへの参加を取りやめてください。(毎朝チェックして頂き、該当の場合はお迎えまでに連絡をお願いします)
・新型コロナウイルス収束までの間、感染や予防等によるキャンセル料金はいただきません。
石垣島滞在時の感染予防対策
・開放的な気分から基本的な予防(咳エチケット・ソーシャルディスタンスの確保、手指消毒等)を怠らないようにお願いします。
・石垣島滞在中は夕食をコンビニ弁当で済ませるなど、できるだけ人が集まる場所へは行かないよう心掛けてください。
・ホテルでの朝食時等、一時に人が集まる場所へ行く場合はできるだけ時間をずらしてご利用ください。
・外出時はマスク着用をお願いします。
送迎車内での感染予防対策
・送迎車内はマスク着用でお願いします。
・送迎時の車内は窓を開け換気を行います。
・送迎車内にはアルコール消毒液や次亜塩素酸水などを用意しています。乗車中の消毒のご協力をお願いします。
・親切心からの行為を控えるよう気を付けてください。(送迎時の車のドアの開閉等)
ダイビン グ参加中の感染予防対策
・参加申込書の他に感染症予防のための協力依頼書の記入をお願いします。
・ペン等を持参して共有物にふれる機会をなるだけ減らすようご協力お願いします。
・乗船中のマスク着用はお客様の判断にお任せしますがマスクは必ずご持参いただきますようお願いします。
・ダイビングボートには次亜塩素酸水を用意しています。消毒のご協力をお願いします。
・他人のマスク・レギュレーター・タオルに触れないよう、また自身の物を他人に触れさせないように気をつけて下さい。
・レギュレーター取り外しの際はオクトパスからエアを抜いて飛沫飛散防止にご協力ください。
・親切心からの行為を控えるよう気を付けてください。(他人に飲み物を入れてあげたり等)
ランチや飲み物等に関する感染予防対策
・飲み物はご自身で持参してください。船にクーラーを用意してあります。
・ランチはご自身でご用意ください。手作りランチの提供はコロナ終息まで控えさせていただきます。
・ランチ購入を前日にお申し付けいただければ朝の送迎時にスーパーやコンビニに立ち寄ります。
・ランチや飲み物のゴミはお持ち帰りいただき宿泊先での処理をお願いいたします。
その他
・ログ付けをご希望されないお客様は港でご精算いたします。
・カードでのお支払いはお店での精算となります。
・ログ付け時のおやつや飲み物もご用意できませんのでご希望の方はご自身でご用意お願いします。
・少しでも感染リスクを減らしたいお客様はレンタカーでお越しになることをお勧めします。
・可能であればアルコール消毒液を持参してください。
(アルコール消毒液は機内持込可能)
・密閉できる500cc以下の容器に分ければ2リットルまで機内預け可能
・100cc以下の容器に入れ、容器ごと密閉袋に入れれば手荷物にて機内持ち込み可能
![]()
■新型コロナ収束までのキャンセル料金について
新型コロナが収束するまでの間は急なキャンセルでもキャンセル料は頂きません。自粛要請や緊急事態宣言などでキャンセルとなった場合もキャンセル料は発生しません。ダイビングのご予約は これまで通りお気軽にお申込みください。また、体調不良等の場合もキャン セル料は頂きませんので体調が優れない場合は速やかに申し出くださいますようお願いいたします。
※キャンセルの連絡がない場合は従来通りのキャンセル料を請求いたします。キャンセルの際は必ずご一報いただけますようお願いします。
今後の状況によっては再度営業自粛となる可能性もあります。その場合もダイビングのキャンセル料金は頂きませんが、お客様の航空券や宿泊等のキャンセル料の補償も致しかねますのでご理解の程よろしくお願いいたします 。









